REQUEST A TOUR If you would like to see this home without being there in person, select the "Virtual Tour" option and your agent will contact you to discuss available opportunities.
In-PersonVirtual Tour

$ 11,900
Est. payment | /mo
$ 11,900
Est. payment | /mo
Key Details
Property Type Vacant Land
Sub Type Lots/Land
Listing Status Active
Purchase Type For Sale
MLS Listing ID ND25182372
Property Sub-Type Lots/Land
Property Description
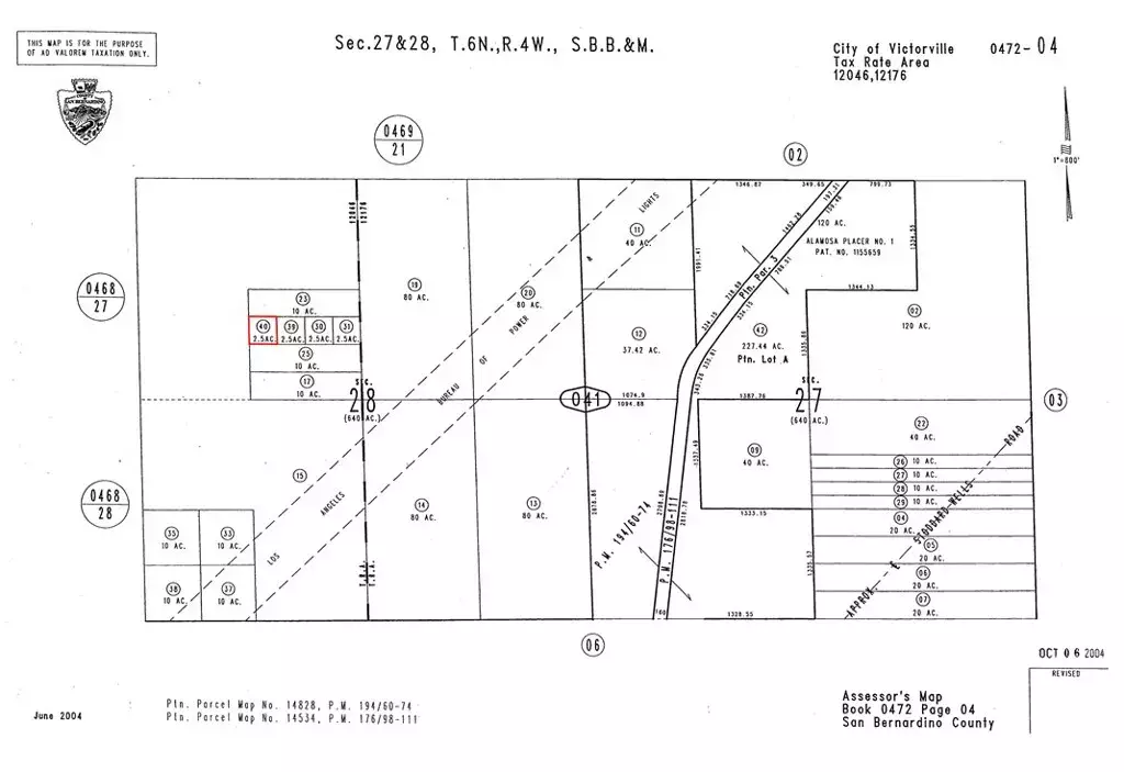
This 2.5-acre parcel in Victorville, CA, offers a prime opportunity for those seeking land in the expansive high desert region of San Bernardino County. Adjacent to over 240 acres of government land, this property provides added privacy and the potential for scenic, open surroundings. Located near the distinctive Rock Faces by BMG, this lot presents a blank canvas for your vision, whether for recreation, development, or investment. Buyers are advised to verify road access, utilities, and zoning to fully explore the possibilities this property offers. Parcel No. 0472-041-40-0000, GPS: 34.58145, -117.30801.
Location
State CA
County San Bernardino
Direction This 2.5-acre parcel in Victorville, CA, offers a prime opportunity for those seeking land in the expansive high desert region o
Interior
Fireplace No
Exterior
View Y/N No
Present Use Unimproved
Others
Tax ID 0472041400000

Listed by Donald Adamson Loanstar Financial
GET MORE INFORMATION

Roy Wannamaker
REALTOR® | Lic# CA DRE 01838753